Pear scab

Disease

Pear scab

Venturia pirina Aderh.

Distribution: Common to all fruit-growing regions in eastern North America.


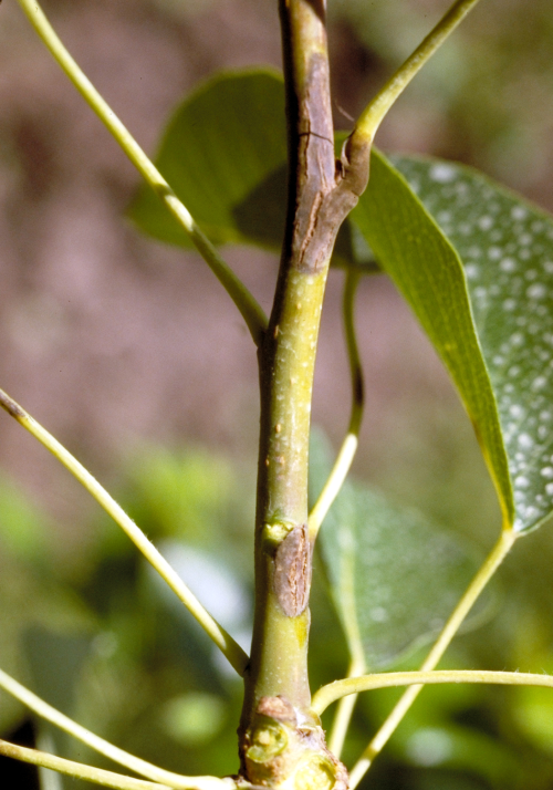
Lesions on leaves begin as pinpoint spots, enlarging and becoming velvety brown to olive green with indistinct margins (A). Older lesions may remain singular or coalesce with other leaf lesions; they eventually stop expanding and develop distinct margins. On fruit, young lesions appear similar to those on leaves and can be found starting 1 month after fruit set (B). Although the entire surface of the fruit is susceptible to infection, lesions often cluster around the calyx end of the fruit. Infected fruit tend to be misshapen and eventually have dark brown to black spots or patches where fruit are infected (C). New lesions on developing shoots appear similar to leaf and fruit lesions. Eventually, the lesions become corky in appearance, where they will overwinter and produce conidia the following season (D).

  • Crops Affected: pears

    Management

    Pear scab is typically not as a destructive as apple scab. In seasons that favor the development of pear scab, fungicides applied from green tip through early summer are used to manage the disease.